Snorkelling in the Maldives: Part II

Once I had gotten Kate into the Maldivian water, we really never wanted to get out. Luckily for us, the house reef at Reethi was an ever changing landscape. Though we snorkelled around a similar spot each day, the sights and wildlife were wildly different each time.

maldives-reethi-snorkel-wwellend

On this particular snorkel outing, I found an incredibly healthy garden of coral and anemones. This small section was thriving, housing so many different creatures. It seemed like it was its own little ecosystem and I was totally fascinated by it.

maldives-reethi-snorkel-wwellend

maldives-reethi-snorkel-wwellend

This next picture doesn’t really do it justice, but in the crevice there was the most enormous school of these red and black fishies. Huddled together, big eyes staring out, there were hundreds of them, but they seemed to vibrate on the same frequency – like one larger being.

maldives-reethi-snorkel-wwellend

On this snorkel we saw quite a few of these little pointy-nosed fish. I am not sure what they are called (if you know – tell me in the comments!) but they made me think of Pinocchio. I imagined that swordfish had been telling lots of lies, and these fish had just told one little fib – and as such their noses hadn’t grown as much. It is strange the thoughts that pop into ones mind while underwater!

maldives-reethi-snorkel-wwellend

maldives-reethi-snorkel-wwellend
What snorkel post would this be without a few selfies?

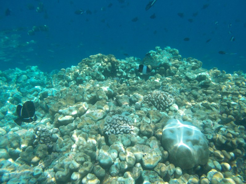
In the following picture you can kinda see where the coral reef just ends. It is actually a fairly dramatic drop. The coral reef starts from about 1-2m depth at the shallowest, down to 3 or so metres at the deepest, then all of the sudden it just stops and drops!

maldives-reethi-snorkel-wwellend

maldives-reethi-snorkel-wwellend

maldives-reethi-snorkel-wwellend
Kate Oats: Mermaid Extraordinaire

maldives-reethi-snorkel-wwellend

I saw a lot of cool marine life on these trips (stay tuned to upcoming posts to see sting rays, reef sharks, eels and more) but on this particular day, I spotted a little pufferfish which I thought was absolutely incredible! A part of me wanted to see him puff up, but if Disney movies are anything to go by, they only do that when they feel threatened – so it is actually a good thing that he stayed nice and deflated – it means we never got close enough to stress the little guy out.

maldives-reethi-snorkel-wwellend

maldives-reethi-snorkel-wwellend

This thriving anemone housed a cluster of these stripey fish and unlike the clownfish I spotted in a similar anemone in El Nido, these guys weren’t overly fussed with my presence and never rushed back into the anemone for protection. Once again, I am not sure what kind of fish these are – so if you know, please let me know in the comments.

maldives-reethi-snorkel-wwellend

maldives-reethi-snorkel-wwellend

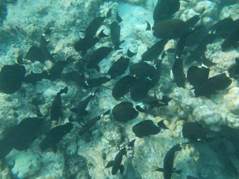
In this next set of pictures the water appears very murky but it is this way for good reason! There was an enormous school of these black fish (and when I say enormous I mean there were easily thousands of them) mixed in with a bunch of big parrot fishies. The school only had one thing on its mind – feeding! There were swimming through the reef, stopping every few seconds to feed on the coral. All the motion was causing heaps of sediment to become displaced – causing the water to become less clear than usual.

maldives-reethi-snorkel-wwellend

maldives-reethi-snorkel-wwellend

maldives-reethi-snorkel-wwellend

Once the feeding fish had passed through, the water started to clear up again but there was a noticeable difference in its appearance for sure.

maldives-reethi-snorkel-wwellend

maldives-reethi-snorkel-wwellend

maldives-reethi-snorkel-wwellend

This next picture is one of my favourites of the day. I love the way the ray of sunlight is casting across the fish and causing it to appear many different colours. It had been a truly amazing snorkel. I didn’t want to get out, but a storm was brewing and the water was becoming pretty choppy.

Now, you may think “What? A storm in the Maldives – I thought it was paradise?”

To that I say, yes, even with storms the Maldives is still paradise. As I soon found out, even the storms are astoundingly beautiful. Stay tuned!

maldives-reethi-snorkel-wwellend

T H E L O W D O W N
Getting to Male: There are many different routes flying into Male, flights with Air Asia from Kuala Lumpur are some of the cheapest
Trans Maldivian Airways: This is the largest seaplane company flying to destinations in the Maldives
Getting to Reethi: Access is by seaplane or domestic flight – costs for return flights are $450 USD and $330 USD respectively
Reethi Beach: One of the most affordable resorts in the Maldives, basic rooms start at $165 USD per night
Snorkelling: Snorkel gear hire at Reethi is just $12.99 per 24 hours
Camera: Nikon Coolpix S31 – cheap, cheerful, waterproof and easy to use!
Threads: My cute bikinis are by Aussie label Tigerlily Swimwear
Remember: To get into that water! It is an amazing world down there

Don’t forget to add me on Snapchat and Instagram – @wwellend – for more foolishness and travel adventures!

Posted by

30-something year old Australian backpacker writing her way around the world.

38 thoughts on “Snorkelling in the Maldives: Part II

  1. One of the best things about photography is recording the same spot, at various times over a 24-hour period, or over 3-5 days. The quirkiness of fish is also amazing. Schools have their own group personality, it seems.

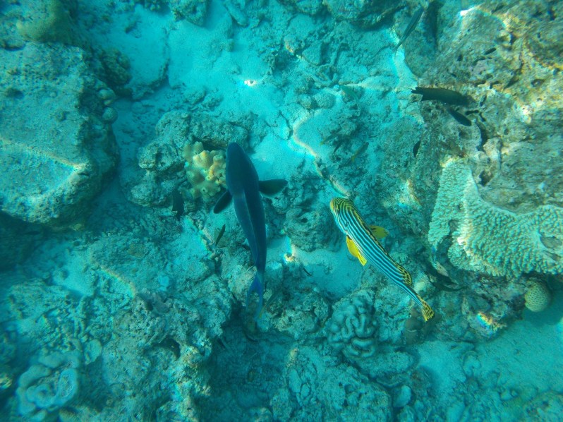
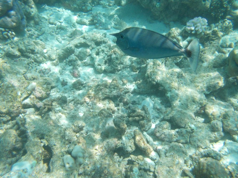
      1. Yes, probably a Spotted Unicornfish, and the small black and white fish are Humbug Dascyllus. Great photos ….think that I will have to go rob a bank and hide out in the Maldives LOL.

Leave a Reply