Snorkelling in the Maldives: Part III

If you have been keeping track of my Maldivian adventures these past few weeks – you would surely already know how absolutely amazing the underwater world is in the spectacular Baa Atoll. I have shown you sea turtles, sting rays and an enormous array of tropical fish – but I have been saving the best pictures for last.

On one of our last snorkels at the house reef at Reethi Beach Resort, we were able to view some truly incredible wildlife, much of which is not a common sight during daylight hours. We got amazingly lucky, and captured some awesome photographs in the process.

maldives-reethi-snorkel-wwellend

The water in the Maldives is always pretty crystal clear, but during this particular snorkel, it was the clearest I had ever seen it. I could see for what felt like kilometres; the ocean seemed to be stretching right out before me and my fellow mermaid, Kate.

maldives-reethi-snorkel-wwellend

At first during this particular snorkel I was enraptured by the sheer quantity of fish that seemed to be out on the move. The area had always been pretty full of wildlife, but never so much as on this day.

maldives-reethi-snorkel-wwellend

Two minutes into the snorkel and I already didn’t think life could get much better! However, just as soon as the thought struck, I was proven so incredibly wrong. All of a sudden, something even more spectacular swam right out underneath me.

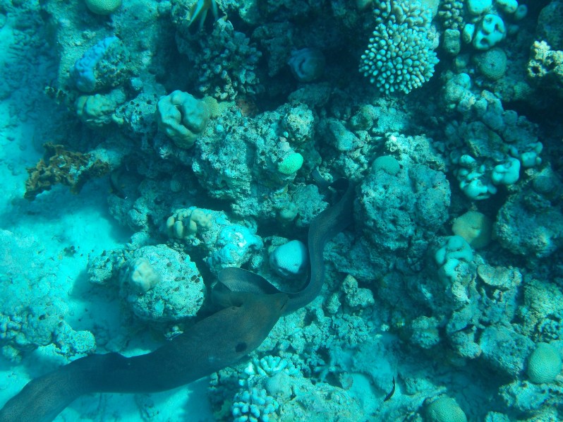
A moray eel!

maldives-reethi-snorkel-wwellend

So how did I come across this magnificent creature?

I was just aimlessly snorkelling around, looking ahead of me to look at all the fishies, and when I looked down towards the ocean floor – there it was.

I was so excited I just about dropped my camera – thank goodness for wrist straps! Once I had picked up my jaw from the floor and regained some composure, I set off to follow this fellow – hoping that doing so wouldn’t bother him too much. Moray eels do have sharp teeth after all!

maldives-reethi-snorkel-wwellend

It was pretty glorious to watch how effortlessly Ewan the Eel (as I lovingly dubbed him) was able to glide through the water. He would sometimes manoeuvre through small crevices in the coral, other times he would swim confidently out in the open; but in the whole time I was following him, he always appeared to be moving with a purpose.

maldives-reethi-snorkel-wwellend

maldives-reethi-snorkel-wwellend

After a while of following, this purpose became obvious. Ewan the Eel had been headed to see his sometimes friend/sometimes love interest Marnie the Moray! The two seemed to enjoy hanging out side by side and I got to enjoy giving them a little sitcom-inspired back story, luckily for you I will refrain from sharing this back story – which is really just the silly rambling of my brain.

maldives-reethi-snorkel-wwellend

maldives-reethi-snorkel-wwellend

Once Ewan and Marnie had snuck off to a hidey hole in some coral, it was time for me to continue exploring and see what other marine life I could find.

maldives-reethi-snorkel-wwellend

This big blue fish in the next photograph was absolutely amazing! It was bigger than all the parrot fish I had seen and its scales seemed to glow! I have no idea what type of fish this one was (story of my life) but I sure loved swimming with it!

maldives-reethi-snorkel-wwellend

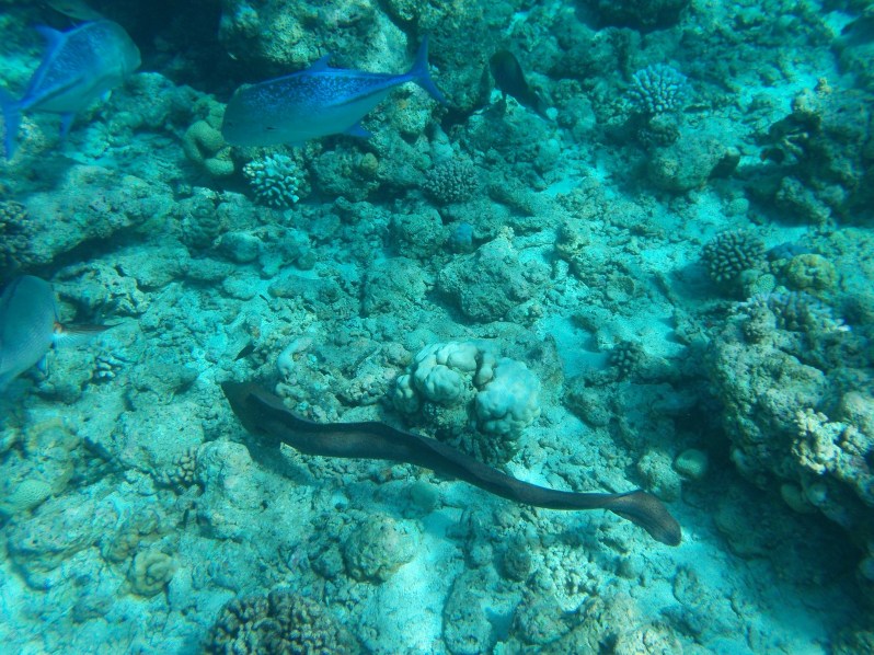
However, before I could get too settle in with this school of big blue fish, a certain Ewan the Eel decided to make a reappearance and join the gang.

maldives-reethi-snorkel-wwellend

The fish were all completely unphased by his presence and appeared to have absolutely no issues with him swimming alongside them. Gotta love that harmonious living!

maldives-reethi-snorkel-wwellend

I was pretty happy to spot this next little fish. I had seen a few of them on previous snorkels but they are fast little blighters and had been quick and crafty – meaning that with my slower shutter speed they were often out of frame before I could capture any good shots of them. This fishie only hung around long enough for me to get this one shot, but one shot is better than none!

maldives-reethi-snorkel-wwellend

I love this next shot of a parrot fish hanging out by the edge of the coral reef. The way the sunlight is refracted through the water makes it look like there is light bursting from the depths of the ocean.

maldives-reethi-snorkel-wwellend

Occasionally a girl has gotta come up for air! The sun was so bloody bright though that I was pretty quick to put my mask back on and hide my retinas from the painful glare bursting back up from the ocean surface.

maldives-reethi-snorkel-wwellend

The next creature I encountered was most certainly an unexpected one. Lobsters are mostly sighted at night time, so spotting this one just peeking out from the coral was pretty cool!

maldives-reethi-snorkel-wwellend

maldives-reethi-snorkel-wwellend

Not long after spotting Mr Lobster – this Moorish Idol fish made an appearance and I felt like I had somehow swum into the a fish tank from Finding Nemo.

maldives-reethi-snorkel-wwellend

This next photo is super blurry – but for good reason. It is not every day one spots a legitimate sea snake! I knew instantly what this creature was and memories of watching Nat Geo Wild programs about how fast the venom of the sea snake can kill a person instantly sprang to mind. I snapped one photo and swam off! As much as I would have loved to get a closer look – death by sea snake is not how I wanna go.

maldives-reethi-snorkel-wwellend

So it was back to hanging with the friendly (non venomous) marine creatures and critters!

maldives-reethi-snorkel-wwellend

This next photo is also super blurry (my fault – no sea snakes to blame here) but I felt that I had to include it. After all – white spotted puffer fish are not an overly common sighting!

maldives-reethi-snorkel-wwellend

maldives-reethi-snorkel-wwellend

I still have no fricking clue what these things are! This next picture is not at all edited, widened or stretched. This is just what these weird long fishies look like!

maldives-reethi-snorkel-wwellend

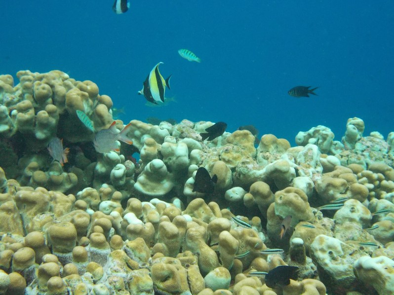
Check out how many different breeds of fish are hanging out at this coral garden – pretty damn amazing!

maldives-reethi-snorkel-wwellend

maldives-reethi-snorkel-wwellend

maldives-reethi-snorkel-wwellend

Once I could feel myself roasting to a crisp (a sign to exit the water and head for a bath tub full of aloe vera) I began to swim back to shore. Along the way I spotted this teeny tiny little guy – who despite its small size was rather impressive to see – look how brightly coloured it looks from the top! I like to think that it would glow in the dark.

maldives-reethi-snorkel-wwellend

T H E   L O W D O W N
Getting to Male: There are many different routes flying into Male, flights with Air Asia from Kuala Lumpur are some of the cheapest
Trans Maldivian Airways: This is the largest seaplane company flying to destinations in the Maldives
Getting to Reethi: Access is by seaplane or domestic flight – costs for return flights are $450 USD and $330 USD respectively
Reethi Beach: One of the most affordable resorts in the Maldives, basic rooms start at $165 USD per night
Snorkelling: Snorkel gear hire at Reethi is just $12.99 per 24 hours
Camera: Nikon Coolpix S31 – cheap, cheerful, waterproof and easy to use!
Threads: My cute bikinis are by Aussie label Tigerlily Swimwear
Remember: To bring more sunscreen and aloe vera than you think you will need – it is incredibly expensive to purchase once on resort islands

Don’t forget to add me on Snapchat and Instagram – @wwellend – for more foolishness and travel adventures!

Posted by

30-something year old Australian backpacker writing her way around the world.

39 thoughts on “Snorkelling in the Maldives: Part III

  1. Gorgeous. Did you know that Pixar are looking for ideas for the third sequel to Finding Nemo. I think I’ve just seen the preview here! 🙂

  2. Breathtaking photos! I would have been terrified if I spotted a snake while snorkeling. That’s my idea of a nightmare. One time I saw a snake-like (but definitely not snake now that I think of it) creature at the bottom of the sea while snorkeling in Cyprus, and my immediate reaction was to rush back to the shore due to fear.

    1. I was definitely nervous, but I think the fact that it appeared to be resting eliminated any real fear. What do you think the thing you spotted was? Wow Cyprus! That is way up on my list!

      1. I was so scared that I didn’t even take a good look at it, but it was worm-like, whitish creature at the bottom of the sea. It wasn’t as long as snakes are normally, so I don’t know what made me think it was one! 😀 Cyprus is very beautiful indeed. 🙂

    1. Thank you so much 🙂 I am thinking it may be time to invest in a better underwater camera though! This one has served me well but an upgrade could serve me better…

  3. Really great pictures! I think the fish that you were unable to identify are pipefish. They’re close relatives of the seahorse, if my memory holds and I’m not mistaken.

      1. Actually I think they are cornetfish by the apparent size of them. Pipefish are only about 15cm long and rarely swim in the open.
        And the “parrotfish on the edge of the reef” is a Titan Triggerfish, also in the second last photo. They can actually be a bit dangerous and will nip you if you annoy them during breeding season !

  4. I love these underwater pics! Just went snorkeling for the first time in Mexico and seeing all the fishes so up close freaked me out more than I thought it would haha.

      1. There were some really big grouper and barracuda, but when a sea turtle swam under me, I was completely in awe. Exhilarating and terrifying at the same time haha.

      2. Sea turtles are amazing! I was so incredibly stoked to see a couple when I was in the Maldives – I would love to see them again 🙂

  5. This is amazing! And so much variety too!
    I’ve been snorkeling a few times but I’ve never been lucky enough to see so many fish..maybe I scare them all away or maybe I just go at bad times haha.
    I’ve seen parrot fish, sergent majors and one or two others.
    The long fish may be some type of pipe fish. I’ve seen similar looking ones in the Caribbean.

    1. I doubt you are scaring them off haha! I am sure it just depends on the location the snorkel. Keep getting back in the water! There is so much to see 🙂

Leave a Reply to wwellendCancel reply