The Hidden Delight of Timor-Leste

In the time I spent on Atauro, the weather was very rainy and very grey. It made the mountains look intriguing and hauntingly beautiful. I thought that the dark skies would make for dark ocean water too, but as it turns out, this was not the case.

atauro-snorkel-timor-leste

I went snorkelling to the outer reef of Atauro island and was amazed by the underwater wonderland that was hidden just a short boat ride from the beach. The reef is not particularly far from the shoreline and if I hadn’t been informed of the strong cross current that I would come across on the way back, I would most definitely have tried to swim there directly from the shore.

However, due to safety concerns, I was discouraged from doing the above, and instead accessed the reef by local outrigger boat. To hire a local to take you out on a boat costs $10 USD per boat (but can be split by as many people as will fit) and in the process I was able to support locals on Atauro and prevent myself from unnecessary ocean peril. It’s win-win really!

atauro-snorkel-timor-leste

Snorkelling around Atauro was like no other snorkelling I had done before.

When I snorkelled in El Nido, I was amazed by all the amazing tropical fish. When I snorkelled in Iceland I was able to touch two continents at once. When I snorkelled in the Maldives I was overwhelmed by all the incredible marine life.

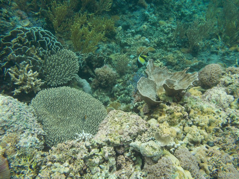
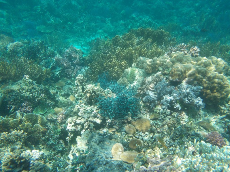
On Atauro, it was the coral reefs themselves that were truly spectacular.

atauro-snorkel-timor-leste

Never before had I seen such densely packed and colourful coral! Every other coral reef I have ever snorkelled in has shown extremely obvious signs of bleaching, but not at Atauro. Corals in bright greens, blues, purples and yellows could be seen at every turn. The anemones looked like the picture of health and the seagrass was bright green and growing wild.

atauro-snorkel-timor-leste

This is the little outrigger boat that took me out to the coral reef. The Timorese local didn’t have any English, but he was a smiley fellow and was happy to wait as long as I wanted. There were no time limits on the boat rental. I was free to explore the coral reef below for as long as I wanted!

atauro-snorkel-timor-leste

Having no time limit was a good thing, cause there was a lot to see!

atauro-snorkel-timor-leste

atauro-snorkel-timor-leste

There looked to be way less fish here than in other snorkelling spots I had been to, but I wonder if there just appeared to be less fish because they had more places to hide in all the coral!

atauro-snorkel-timor-leste

Whenever I did see a pretty tropical fishy I was very quick to try and snap a picture!

atauro-snorkel-timor-leste

atauro-snorkel-timor-leste

There is a fishy in this next picture – can you spot it?

atauro-snorkel-timor-leste

atauro-snorkel-timor-leste

I was pretty excited to see another little Nemo! It is silly how much that film has made me love clown fish.

atauro-snorkel-timor-leste

atauro-snorkel-timor-leste

atauro-snorkel-timor-leste

I spotted some gorgeous shells on the ocean floor. A small part of me really wanted to pick one up to take home as a souvenir, but the bigger part of me knew better. I would never ever want to disrupt the lives of the fish that call this reef home, so instead I just took pictures.

atauro-snorkel-timor-leste

This next picture is one of my favourites, I just love the textures and colouring of this lilac cauliflower coral (definitely not the correct name) on the right hand side.

atauro-snorkel-timor-leste

atauro-snorkel-timor-leste

I look like such a dork in this next picture, but I look like the happiest dork in the world so I thought I should include it and embrace it in all it’s dorky happy glory.

atauro-snorkel-timor-leste

atauro-snorkel-timor-leste

Snorkel gear is available to hire from Barry’s Place for just $3 USD per day. This is a cheap price for snorkel hire, but you are getting what you pay for. The flippers are good and the snorkels okay, but the masks are pretty average! Mine was well fitted around my eyes but a shoddy nose piece meant that water was constantly seeping in!

atauro-snorkel-timor-leste

I had to go up to the surface and empty it out fairly often, and all the salt water hanging around in the nose piece meant that my poor nose was running like a tap! At least in the ocean there was nobody to see my extra runny nose except the fishies, and I doubt they cared too much.

atauro-snorkel-timor-leste

atauro-snorkel-timor-leste

atauro-snorkel-timor-leste

I love this next photograph. The corals are so vibrant and appear to be growing into each other. Not only that, but if you look closely you can see a gorgeous little fish swimming through the spikes – so cool!

atauro-snorkel-timor-leste

atauro-snorkel-timor-leste

atauro-snorkel-timor-leste

One of the absolute best things I saw while snorkelling at Atauro was this little coral home. Inside lived heaps of little green fishies who used it as protection. You could blink and miss these guys so I was pretty stoked that I had spotted them.

atauro-snorkel-timor-leste

This is how bright and colourful all coral reefs should be! Instead, global warming and pollution mean that more and more coral reefs are becoming bleached, warmed and dying. It is a rarity to see one this healthy.

atauro-snorkel-timor-leste

atauro-snorkel-timor-leste

atauro-snorkel-timor-leste

Snorkelling at Atauro was an absolutely awesome experience, and a must do for any underwater enthusiasts. I have met many travellers who have told me how disappointed they were with the GBR in Queensland – how it looked nothing like pictures and did not live up to expectations. I suggest hitting up this little reef as an alternative option. It may be tiny – but it is healthy, colourful and utterly thriving. Definitely worth a side trip from Bali for!

atauro-snorkel-timor-leste

T H E   L O W D O W N
Getting to Dili: Flights to the Timorese capital arrive from Bali and Darwin
Getting to Atauro: Access on most days is by speedboat, contact Compass Charters via email (svscdili@telstra.com) to organise
Barry’s Place: One of two accommodation options on Atauro – Barry’s is the best! $45 USD per night gets you a beach cabin and all meals provided
Camera: Nikon Coolpix S31
Outrigger Boat Hire: You can hire a local boat through Barry for $10 USD, the more people in the boat the cheaper it will be
Snorkel Gear: You can hire gear from Barry for $3 USD per day
Remember: Timor-Leste has very little tourism right now, so the sooner you go, the better!

Don’t forget to add me on Snapchat and Instagram – @wwellend – for more foolishness and travel adventures!

Posted by

30-something year old Australian backpacker writing her way around the world.

47 thoughts on “The Hidden Delight of Timor-Leste

  1. I love this!!!

    On Sunday, July 24, 2016, Travelling The World Solo wrote:

    > wwellend posted: ” In the time I spent on Atauro, the weather was very > rainy and very grey. It made the mountains look intriguing and > hauntingly beautiful. I thought that the dark skies would make for dark > ocean water too, but as it turns out, this was not the case. ” >

  2. I’d rather see a happy dork than an unhappy non-dork. Besides, you looked great, far from dorky. Great photos and excellent writing, as usual.

  3. Fantastic photos. Such pretty coral 🙂 I didn’t know that East Timor had such beautiful sea and corals. It’s not the kind of place you hear everyday about. Thanks for sharing!

  4. The off-course places like Atauro are totally worth the effort to visit. It sounds from all that I’ve read and heard, as if GBR is under extreme economic pressure from the Chinese, and others, who just want it gone, so they can sail to Brisbane and Sydney, without divergence. Very sad.

  5. This looks amazing! Have you ever been to Fiji? There was one particular island that we visited in Fiji where the reef looked just like this – such an incredible experience 🙂

    1. No I haven’t! Maybe next year! I have been trying to decided where in the Pacific islands to visit next year as part of my #7continentsin2017 project!

  6. Those are magical photos! Timor Leste is a part of the world that interests me greatly along with nearby Papa New Guinea and the Solomon Islands. One day 😉

Leave a Reply to TheAddict'sScrapbookCancel reply